Local Service Guide

Get Ants Extermination Service in Richmond, TX

Local contractors in Richmond, TX, can help property owners eliminate ant infestations, prevent future outbreaks, and handle residential or commercial pest control projects effectively.

Richmond, TX

Ants extermination services are an important consideration for property owners in Richmond, TX who want to protect their homes and businesses from unwanted pests. Whether dealing with persistent ant colonies or preventing future invasions, exploring local service providers can help identify effective solutions tailored to the specific needs of the area. Taking the time to compare options and plan a pest management approach ensures that property owners can make informed decisions about maintaining a pest-free environment.

For those seeking reliable assistance with ant control, numerous local contractors specialize in pest extermination services suited to Richmond’s unique landscape. Evaluating different providers can help property owners find experienced professionals capable of addressing their concerns efficiently. Continuing to explore available options allows for a clearer understanding of the services offered and how they might best serve individual property needs.

Get Ants Extermination Service Quotes

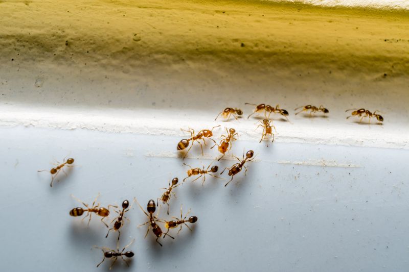
  • Ants Extermination - needed when ants invade kitchens or pantry areas in neighborhoods around Richmond, TX.
  • Ants Extermination - required when persistent ant trails appear in residential or commercial properties in nearby communities.
  • Ants Extermination - essential for preventing ant colonies from spreading in yards and outdoor spaces in local neighborhoods.
  • Ants Extermination - sought after when ants are found nesting inside walls or beneath flooring in Richmond and surrounding areas.
  • Ants Extermination - necessary to address ant infestations that threaten the comfort and cleanliness of homes and businesses nearby.
Ants Extermination Service
Ants Extermination Service
Ants Extermination Service

Ants extermination services involve identifying and eliminating ant colonies that have invaded a property. Trained service providers use targeted treatments to remove ants from indoor and outdoor areas, helping to restore a pest-free environment. These services often include inspecting the property to locate nests, applying appropriate insecticides, and providing advice on how to prevent future infestations. The goal is to effectively reduce or eliminate ant populations to prevent ongoing nuisance and potential property damage.

Ant infestations can cause a variety of problems for homeowners. Common issues include the presence of large ant colonies that invade kitchens, pantries, and other living spaces, often contaminating food and surfaces. Some ant species, such as fire ants, can pose health risks through painful stings or bites, especially if the colony is large. Additionally, certain types of ants can damage wood structures or electrical wiring, leading to costly repairs. Property owners experiencing persistent ant activity or noticing trails and mounds should consider professional extermination services.

Ants tend to invade residential properties, commercial buildings, and even some multi-family complexes. Homes with easy access to outdoor food sources, moisture, or open entry points are particularly vulnerable. Properties such as single-family houses, apartment complexes, restaurants, and retail stores often seek ant extermination services to address these issues. Regular inspections and treatment plans can help maintain a pest-free environment, especially in areas prone to ant activity during warmer months or after heavy rains.

When ant problems become noticeable, it’s a sign that local contractors can help restore comfort and safety to a property. Whether ants are found in the kitchen, around the foundation, or near entry points, professional extermination services provide targeted solutions to eliminate the problem. These services are suitable for any property experiencing ongoing ant activity or seeking to prevent future infestations. Contacting experienced pest control providers can help homeowners and property managers find effective, tailored treatments to keep their spaces ant-free.

The overview below groups typical Ants Extermination Service projects into broad ranges so you can see how smaller, mid-sized, and larger jobs often compare in Richmond, TX.

In many markets, a large share of routine jobs stays in the lower and middle ranges, while only a smaller percentage of projects moves into the highest bands when the work is more complex or site conditions are harder than average.

Basic Ant Removal - For small-scale ant infestations or routine treatments, local contractors typically charge between $250 and $600. Most standard jobs fall within this range, covering a few affected areas or single-story homes.

Localized Treatment - Targeted treatments for larger areas or specific nests usually cost between $600 and $1,200. These projects often involve multiple treatments or more extensive application efforts by local pros.

Full Property Extermination - Complete ant eradication for larger properties or severe infestations can range from $1,200 to $3,000. Many projects in this tier involve multiple visits and comprehensive approaches by service providers.

Ant Prevention & Barrier Services - Installing preventative barriers or ongoing maintenance plans typically cost $500-$2,000 annually. Fewer projects reach the highest end of this range, which is common for extensive or multi-property needs.

Actual totals will depend on details like access to the work area, the scope of the project, and the materials selected, so use these as general starting points rather than exact figures.

Get a Quote

Pest Inspection Projects - Local contractors often perform comprehensive pest inspections that identify ant infestations, utilizing similar assessment skills and tools as ant extermination services.

Rodent Control Projects - Many of the techniques and planning used in ant removal, such as identifying entry points and applying targeted treatments, are applicable to rodent control efforts.

Termite Treatment Projects - Both termite and ant control require knowledge of pest behavior, treatment planning, and the use of specialized products to eliminate colonies effectively.

Insect Barrier Installation - Installing physical barriers to prevent pests like ants from entering structures involves planning and execution skills shared with ant extermination services.

Wildlife Exclusion Projects - Excluding pests such as raccoons or squirrels from properties involves similar inspection and sealing techniques used in ant prevention strategies.

Crack and Crevice Treatment Projects - Applying targeted treatments to cracks and crevices to eliminate pests relates directly to the methods used in ant extermination services for effective pest control.

Ants Extermination Service

When selecting a contractor for ant extermination services, it’s important to consider their experience with similar projects. Homeowners should inquire about the types of ant infestations they have handled and whether they have worked in residential settings comparable to their own. A contractor with a history of successful treatments for ant issues in Richmond, TX and nearby areas can often provide insights into effective methods and common challenges, helping to ensure the chosen professional is well-versed in addressing local pest concerns.

Clear, written expectations are essential to avoid misunderstandings and ensure that both parties are aligned on the scope of work. Homeowners should seek service providers who can clearly outline what will be done, what areas will be treated, and any necessary follow-up steps. Having these details documented helps establish transparency and provides a reference point throughout the process, making it easier to evaluate the quality of service and ensure that all concerns are addressed.

Reputable references and strong communication are key factors in choosing a dependable pest control professional. Homeowners are encouraged to ask for references or reviews from previous clients to gauge the contractor’s reliability and effectiveness. Additionally, good communication-such as prompt responses to questions and clear explanations of treatment options-can make the experience smoother. It’s important to remember that this site introduces homeowners to local service providers who can handle the work, rather than performing the work itself, so taking the time to compare these qualities can lead to a more satisfactory outcome.

Get an Ants Extermination Service Quote

Property owners in Richmond, TX use Ants Extermination Service services for practical projects around their homes and businesses. This guide focuses on everyday jobs and straightforward project options.

Ants Extermination Service
Ants Extermination Service

Ants can become a common nuisance for property owners in Richmond, TX, especially during warmer months when these pests are more active. Homes and businesses experiencing small trails of ants near kitchens, bathrooms, or entry points may seek professional extermination services to address the issue effectively. Local contractors specializing in ant extermination are equipped to identify the source of the infestation and implement targeted treatments to eliminate colonies and prevent future problems.

In addition to visible ant activity, property owners might notice signs such as unexplained ant mounds or increased ant presence around outdoor structures. These situations often prompt residents and business owners to contact service providers who can assess the extent of the infestation and recommend appropriate solutions. Local extermination specialists can help restore comfort and maintain the integrity of properties by managing ant issues efficiently and reliably.

Get an Ants Extermination Service Quote

What causes ant infestations in homes? Ant infestations can be caused by food crumbs, water sources, or easy entry points around a property, attracting ants seeking sustenance and shelter.

How do local contractors typically eliminate ants? Contractors often use targeted treatments, bait stations, and exclusion methods to remove ants and prevent future invasions.

Are there ways to prevent ants from returning after treatment? Sealing entry points, removing food sources, and maintaining clean surroundings can help reduce the likelihood of ants returning.

What types of ants are commonly found in residential areas? Common types include odorous house ants, pavement ants, and carpenter ants, each requiring different approaches for effective removal.

How can I identify if I have an ant problem? Signs include visible ant trails, scattered ants around food or water sources, or ant activity near entry points or within walls.

Ants Prevention Tips - Homeowners can learn effective strategies to reduce ant attractants around their property to minimize infestations.

Inspection and Identification - Property owners can schedule inspections to help identify ant entry points and nesting areas for targeted treatment.

DIY Ant Control Advice - Homeowners can get practical guidance on safe and effective methods to manage minor ant problems themselves.

Choosing Local Contractors - Property owners can connect with nearby service providers experienced in ant extermination for professional solutions.

Ants Extermination Service

If you are thinking about Ants Extermination Service for a property in Richmond, TX, this guide is meant to help you understand the work, the typical project types, and how different options might fit your plans.

When you are ready, you can use the quote form on this page to share a few details about your project. From there, local pros can review the basics and respond with options that match what you have in mind.

Get a Quote

Ants Extermination Quotes

Our Trusted Partners
Cantu Pest Control
Orkin
Hawx Pest Control