Local Service Overview

Get Black Ant Extermination in Sugar Land, TX

Black Ant Extermination services for property owners in Sugar Land, TX, and nearby areas address ant infestations, prevent future invasions, and treat affected structures.

Sugar Land, TX

Black ant extermination services are a practical solution for property owners in Sugar Land, TX seeking to maintain a comfortable and safe living environment. Effective ant control helps prevent infestations that can disrupt daily routines, damage structures, and compromise hygiene. Engaging professional exterminators ensures that the treatment methods used are thorough and targeted, reducing the likelihood of recurring issues and minimizing the need for frequent interventions.

Choosing expert ant extermination also offers benefits related to the durability and appearance of a property. Properly managed pest control can help preserve landscaping and structural integrity by preventing ant-related damage. Additionally, a pest-free property enhances curb appeal, creating a more inviting and well-maintained exterior. This combination of safety, functionality, and aesthetic appeal makes professional ant extermination a valuable investment for homeowners in the area.

Get Black Ant Extermination Quotes

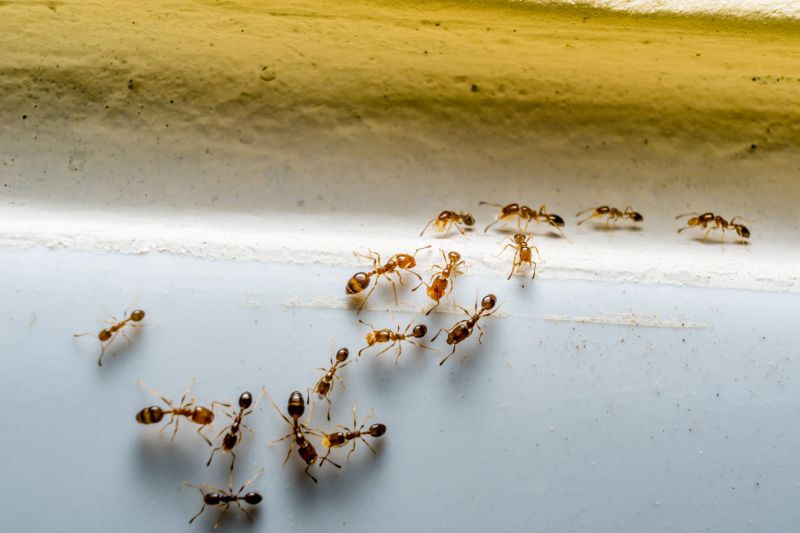
  • Black Ant Extermination - Needed when black ants invade kitchens, pantries, or outdoor areas around Sugar Land, TX.
  • Ant Infestation Removal - Required when black ants form large colonies inside walls or beneath flooring.
  • Preventive Ant Control - Recommended for homeowners seeking to deter black ants from returning to their property.
  • Residential Ant Treatment - Suitable for homes experiencing persistent black ant activity in living spaces.
  • Commercial Ant Extermination - Necessary for businesses in nearby areas experiencing black ant problems affecting operations.

Get Black Ant Extermination Quotes

Black Ant Extermination
Black Ant Extermination
Black Ant Extermination

Black ant extermination services focus on eliminating and controlling black ant populations within residential and commercial properties. These services typically involve thorough inspections to identify ant entry points, nests, and trails, followed by targeted treatment methods such as baiting, dusting, or residual spraying. The goal is to reduce ant activity, prevent infestations from spreading, and address existing problems effectively. Professionals may also advise on integrated pest management strategies to minimize future issues and ensure a cleaner, ant-free environment.

Black ant problems can cause significant nuisances for property owners, especially when infestations become large or persistent. These insects often invade kitchens, pantries, and other areas where food is stored, contaminating supplies and creating hygiene concerns. In addition to food-related issues, black ants can also cause structural damage by nesting within walls, foundations, or other hidden spaces. Addressing these problems promptly through specialized extermination services helps prevent further damage and reduces the discomfort associated with ant invasions.

Properties that commonly utilize black ant extermination services include single-family homes, apartment complexes, restaurants, and retail stores. Residential properties are often targeted when ants invade living spaces or food storage areas, especially during warmer months when ant activity peaks. Commercial establishments, particularly those involved in food preparation or service, seek professional extermination to maintain cleanliness and comply with health standards. These services are also used in multi-unit buildings where infestations can quickly spread between units, making professional intervention essential for effective control.

Engaging with local pest control providers for black ant extermination ensures that property owners receive tailored solutions suited to their specific needs. These professionals employ proven methods to identify and treat ant colonies, helping to restore comfort and hygiene to affected spaces. Regular inspections and maintenance programs may also be recommended to monitor ant activity and prevent future infestations, contributing to a pest-free environment over time.

The overview below groups typical Black Ant Extermination projects into broad ranges so you can see how smaller, mid-sized, and larger jobs often compare in Sugar Land, TX.

In many markets, a large share of routine jobs stays in the lower and middle ranges, while only a smaller percentage of projects moves into the highest bands when the work is more complex or site conditions are harder than average.

Initial Inspection - The cost for a Black Ant extermination inspection typically ranges from $50 to $150. This fee covers a thorough assessment of the affected areas to determine the extent of the infestation.

One-Time Treatment - A single treatment for Black Ants usually costs between $100 and $300. The price varies depending on the size of the property and the severity of the infestation.

Multiple Treatments - For ongoing or severe infestations, multiple treatments may be necessary, with costs ranging from $200 to $600. Each session aims to eliminate the colony and prevent future issues.

Maintenance Plans - Regular maintenance or barrier treatments can cost between $50 and $150 per visit. These plans help to keep Black Ant populations under control over time.

Actual totals will depend on details like access to the work area, the scope of the project, and the materials selected, so use these as general starting points rather than exact figures.

Get a Black Ant Extermination Quote

Black Ant Extermination services involve specialists who identify and eliminate black ant infestations in residential and commercial properties. Local pros use targeted methods to control and prevent future ant problems.

Ant Control Treatments focus on applying effective solutions to eradicate black ants and reduce their populations around homes and businesses. Professionals tailor treatments to specific infestation levels and property types.

Infestation Inspection services include thorough assessments to locate ant colonies and determine the extent of the problem. Experienced technicians provide detailed reports to guide treatment plans.

Pre-Construction Ant Prevention services help in safeguarding new buildings from black ant invasions by implementing barrier treatments and preventative measures during construction. This approach minimizes future pest issues.

Sanitation and Exclusion services aim to eliminate entry points and improve sanitation to deter black ants from entering properties. Experts identify gaps and seal potential access points effectively.

Ongoing Pest Management services offer regular monitoring and maintenance to keep black ant populations under control over time. Local providers customize plans based on property needs and infestation history.

Black Ant Extermination

When selecting professionals for Black Ant Extermination services, it is important to consider their experience in handling ant infestations. Reputable local service providers typically have a track record of successfully managing ant problems similar to those faced by homeowners in Sugar Land, TX, and surrounding areas. Reviewing their history with Black Ant Extermination can provide insight into their familiarity with effective treatment methods and pest behavior, helping to ensure the chosen provider has the necessary expertise to address the issue thoroughly.

Clear communication and well-defined written expectations are essential when working with local pest control providers. Homeowners should seek out professionals who offer detailed descriptions of their treatment approaches, what treatments entail, and any follow-up procedures. Transparent communication helps establish trust and ensures that homeowners understand the scope of work, potential outcomes, and any necessary preparations or post-treatment steps, leading to a smoother service experience.

Reputable references and positive feedback from previous clients can serve as valuable indicators of a service provider’s reliability and quality of work. Homeowners are encouraged to inquire about references or reviews from local residents who have previously engaged the pros for ant extermination services. Consistent, positive feedback regarding professionalism, effectiveness, and communication can help homeowners make informed decisions when choosing local experts to address Black Ant issues effectively.

Get a Black Ant Extermination Quote

Property owners in Sugar Land, TX use Black Ant Extermination services for practical projects around their homes and businesses. The sections below highlight everyday jobs and straightforward project options.

Black Ant Extermination
Black Ant Extermination

Black ant extermination services are often sought after by property owners in Sugar Land, TX, facing persistent ant activity around their homes or businesses. Common reasons for needing professional assistance include the presence of large ant colonies that threaten to invade indoor spaces, damage to landscaping, or repeated ant sightings despite previous efforts to control them. Local service providers can help identify the source of the infestation and implement targeted treatments to reduce ant populations and prevent future issues.

In addition to immediate infestations, property owners may look for black ant extermination when preparing for renovations or new landscaping projects. Ant colonies can interfere with construction or planting plans, and professional pest control can help ensure these pests are managed beforehand. Regular inspections and treatments by local pros can also be part of ongoing pest management strategies to maintain a pest-free environment around homes and commercial properties in the Sugar Land area.

Get a Black Ant Extermination Quote

Why are black ants attracted to my home? Black ants are drawn to food sources, moisture, and shelter around residential areas, making homes appealing for foraging and nesting.

How can I identify a black ant infestation? Signs include visible trails of ants, increased ant activity near food or water sources, and the presence of ant colonies in walls, foundations, or outdoor spaces.

What extermination options do local pros offer for black ants? Professionals typically use targeted treatments such as baiting, perimeter barriers, and spot treatments to eliminate black ant colonies effectively.

Are black ants likely to return after treatment? Proper treatment by experienced contractors can reduce the likelihood of re-infestation, though ongoing sanitation and maintenance are recommended.

How can I prevent future black ant problems? Keeping food sealed, reducing moisture, and sealing entry points can help prevent black ants from returning, with professional services providing additional protective measures.

Black Ant Removal Strategies - Local pest control providers can assess infested areas and recommend effective removal techniques tailored to specific situations.

Preventive Measures for Black Ants - Service providers can advise on sealing entry points and eliminating attractants to reduce future ant invasions.

Black Ant Extermination Treatments - Professionals utilize targeted treatments to eliminate black ant colonies and minimize the risk of re-infestation.

Ongoing Ant Management - Local experts offer follow-up services to monitor and maintain ant-free environments over time.

Black Ant Extermination

Considering Black Ant Extermination for a property in Sugar Land, TX? The sections above highlight common project types, practical options, and details that often shape the scope of work.

When you are ready, use the quote form to share a few details about your project. Local pros can review the basics and respond with options that match what you have in mind.

Get a Black Ant Extermination Quote

Black Ant Extermination Quotes

Our Trusted Partners
Cantu Pest Control
Orkin
Hawx Pest Control