Local Service Overview

Get Ants Extermination Service in Wallis, TX

Ants extermination services for property owners in Wallis, TX, and nearby areas address ant infestations, prevent future invasions, and handle residential and commercial pest control projects.

Wallis, TX

Ants extermination services provide property owners in Wallis, TX with an effective way to manage and prevent ant infestations. These services help maintain a comfortable living environment by eliminating pests that can invade kitchens, bathrooms, and other areas, reducing concerns about contamination and damage. Additionally, professional extermination can enhance safety by minimizing the risk of ant-related allergies or bites, ensuring a secure and healthy space for residents and visitors alike.

Choosing expert ant control solutions also offers benefits related to the functionality and appearance of a property. Regular treatments can reduce the likelihood of recurring infestations, leading to less frequent maintenance and repairs caused by ant activity. This not only preserves the durability of the property’s structure but also improves curb appeal, making outdoor spaces look well-maintained and inviting. Property owners can enjoy peace of mind knowing their homes and landscapes are protected by experienced service providers.

Get Ants Extermination Service Quotes

  • Ants Extermination Services are needed when homeowners notice ant trails or nests inside or around their property.
  • Residential properties in areas like Wallis, TX, may require ant control to prevent infestations from spreading indoors.
  • Commercial spaces experiencing ant activity may seek professional extermination to maintain a pest-free environment.
  • Properties with persistent ant problems despite basic efforts might benefit from specialized treatment services.
  • Ant control services are essential for those aiming to eliminate colonies and prevent future invasions.

Get Ants Extermination Service Quotes

Ants Extermination Service
Ants Extermination Service
Ants Extermination Service

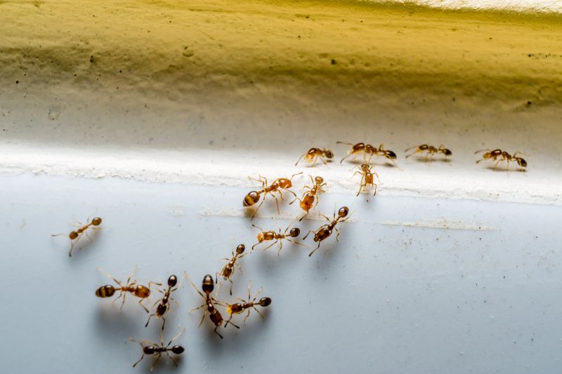
Ants extermination services involve identifying and eliminating ant infestations within residential, commercial, or industrial properties. Professionals utilize various methods, including baiting, trapping, and targeted treatments, to effectively remove colonies and prevent future invasions. The process often begins with an inspection to determine the extent of the problem and the species involved, ensuring that the most appropriate treatment approach is used. These services aim to create an ant-free environment and minimize the risk of recurring issues.

Ant infestations can cause significant problems, including property damage, contamination of food supplies, and the spread of bacteria. Ants are often attracted to food crumbs, sugary substances, and moisture sources, making kitchens and dining areas common sites for activity. In some cases, ants may establish nests inside walls, under flooring, or in other hidden locations, complicating removal efforts. Professional extermination services help address these issues by effectively eliminating the pests and implementing measures to prevent re-infestation.

Various types of properties utilize ants extermination services, ranging from single-family homes to larger commercial establishments. Residential properties frequently seek help with ant problems in kitchens, gardens, and outdoor living spaces. Commercial properties, such as restaurants, grocery stores, and warehouses, may require ongoing pest management to maintain hygiene standards and comply with health regulations. Additionally, property managers and landlords often engage extermination services to ensure their buildings remain pest-free for tenants and visitors.

Local pest control providers offer tailored solutions to meet the specific needs of each property type. They assess the severity of the infestation, identify the ant species involved, and recommend appropriate treatment options. These services are designed to remove existing colonies and establish barriers to prevent future invasions. Contacting a local professional can help property owners and managers maintain a pest-free environment, ensuring comfort and safety for occupants and visitors alike.

The overview below groups typical Ants Extermination Service projects into broad ranges so you can see how smaller, mid-sized, and larger jobs often compare in Wallis, TX.

In many markets, a large share of routine jobs stays in the lower and middle ranges, while only a smaller percentage of projects moves into the highest bands when the work is more complex or site conditions are harder than average.

Per-Visit Cost - Ant extermination services typically range from $100 to $300 per visit, depending on the extent of the infestation and property size. Some providers may charge around $150 for a standard treatment in Wallis, TX. Additional visits could increase the overall cost.

Initial Treatment Cost - The initial ant extermination treatment often costs between $200 and $500. Larger properties or severe infestations may push costs toward the higher end of this range. Service providers may include multiple treatment options within this price.

Per-Quarter Service - Ongoing quarterly ant control services generally cost between $100 and $300 per quarter. This typically covers regular treatments to prevent future ant problems in residential or commercial properties. Prices vary based on property size and treatment frequency.

Inspection Fees - Some local pros charge inspection fees ranging from $50 to $150 to assess ant activity and recommend treatment plans. These fees may be waived if a treatment service is scheduled afterward. The cost depends on the property's size and complexity of the infestation.

Actual totals will depend on details like access to the work area, the scope of the project, and the materials selected, so use these as general starting points rather than exact figures.

Get an Ants Extermination Service Quote

Ants Extermination services help identify and eliminate ant colonies within residential and commercial properties, preventing further infestations.

Local ant control pros use targeted treatments to remove ants from kitchens, basements, and outdoor areas around properties in Wallis, TX, and nearby communities.

Ants Extermination services include inspection, baiting, and barrier treatments designed to reduce ant populations effectively.

Professionals provide ongoing monitoring and follow-up treatments to ensure ant problems are fully resolved and do not recur.

These services are suitable for various ant species, including sugar ants, carpenter ants, and fire ants, common in the Wallis area.

Contact local pest control providers for tailored ant extermination solutions that address specific infestation needs.

Ants Extermination Service

When comparing ants extermination services, it is important to consider the experience of local contractors. A seasoned professional typically has extensive knowledge of ant behaviors and effective treatment methods, which can contribute to more reliable results. Homeowners should look for providers who have a proven track record within the community, as familiarity with local ant species and environmental factors can enhance the effectiveness of the service.

Clear communication and written expectations are essential when selecting a pest control provider. Reputable local pros are likely to offer detailed explanations of their treatment plans, including the methods used and any necessary preparations or follow-up steps. Having these expectations documented helps ensure transparency and allows homeowners to understand what to anticipate from the service, reducing potential misunderstandings.

Reputable references and positive feedback from previous clients can serve as valuable indicators of a contractor’s reliability. Homeowners are encouraged to seek out local providers with a history of satisfied customers and positive reviews. Additionally, effective communication throughout the process-such as prompt responses to inquiries and clarity about service details-can help foster trust and ensure that the homeowner’s concerns are addressed throughout the extermination process.

Get an Ants Extermination Service Quote

Property owners in Wallis, TX use Ants Extermination Service services for practical projects around their homes and businesses. The sections below highlight everyday jobs and straightforward project options.

Ants Extermination Service
Ants Extermination Service

Ants extermination services are commonly sought after by property owners in Wallis, TX who are dealing with persistent ant invasions inside or around their homes and businesses. These pests can quickly become a nuisance, especially when they invade kitchens, pantry areas, or outdoor spaces used for gatherings. Local service providers can help identify the source of ant activity and implement targeted treatments to reduce or eliminate infestations, helping property owners regain control of their spaces.

In addition to ongoing nuisance concerns, property owners may seek ants extermination when preparing for events, renovations, or seasonal changes that could encourage ant activity. Proper treatment can prevent future infestations and protect structures from potential damage caused by ant colonies. Local professionals offer solutions tailored to the specific needs of residences and commercial properties in Wallis, TX, ensuring effective management of ant problems.

Get an Ants Extermination Service Quote

How do ant extermination services work? Ant extermination services typically involve inspecting the property to identify ant colonies and entry points, followed by applying targeted treatments to eliminate ants and prevent future infestations.

Are treatments safe for pets and children? Many ant extermination options are designed to be safe when applied properly; it is recommended to discuss safety concerns with the local service provider prior to treatment.

How long does an ant extermination treatment last? The duration of effectiveness varies depending on the treatment method and the extent of the infestation; a local professional can provide more specific information.

Can ant extermination services prevent future infestations? Yes, professional treatments often include measures to reduce the likelihood of ants returning, such as identifying and sealing entry points.

How do I prepare my home for ant extermination? Preparation may involve cleaning the property, removing food and water sources, and following any specific instructions provided by the service provider to ensure effective treatment.

Ants Extermination Solutions - Local service providers offer targeted treatments to eliminate ant colonies and prevent future infestations.

Inspection and Identification - Pros can assess property conditions to identify ant entry points and nesting areas for effective removal strategies.

Preventive Measures - Experts recommend sealing entry points and removing attractants to reduce the likelihood of ant re-infestation.

Ongoing Monitoring - Regular inspections by local specialists help maintain a pest-free environment and address new ant activity promptly.

Ants Extermination Service

Considering Ants Extermination Service for a property in Wallis, TX? The sections above highlight common project types, practical options, and details that often shape the scope of work.

When you are ready, use the quote form to share a few details about your project. Local pros can review the basics and respond with options that match what you have in mind.

Get an Ants Extermination Service Quote

Ants Extermination Quotes

Our Trusted Partners
Cantu Pest Control
Orkin
Hawx Pest Control