Local Service Overview

Get Ants Extermination Service in Fulshear, TX

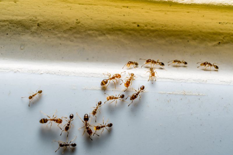
Ants extermination services for property owners in Fulshear, TX, and nearby areas address ant infestations, colony removal, and prevention for residential and commercial properties.

Fulshear, TX

Ants extermination services provide property owners in Fulshear, TX with effective solutions to manage and eliminate ant infestations. By addressing these pests promptly, property owners can enhance the comfort and safety of their living or working spaces, preventing potential damage caused by ant activity. Professional extermination helps maintain the functionality of the property by reducing disruptions and ensuring that ant issues do not compromise structural integrity or cleanliness.

Engaging with local extermination specialists offers benefits such as increased durability of pest control efforts and reduced ongoing maintenance needs. Proper treatment can improve curb appeal by keeping outdoor areas and entry points free of ant colonies, creating a cleaner and more inviting environment. Overall, professional ant extermination services contribute to a more comfortable, safe, and visually appealing property.

Get Ants Extermination Service Quotes

  • Ants Extermination Services - a professional service to eliminate ant infestations in residential or commercial properties.
  • Ants Control for Kitchens - essential when ants invade kitchens or food storage areas in homes or businesses.
  • Outdoor Ant Management - useful for preventing ant colonies from establishing around yards, patios, or garden spaces.
  • Ants Removal in Fulshear, TX - helpful for addressing ant problems in nearby communities and surrounding areas.
  • Ant Infestation Prevention - recommended to maintain pest-free environments and prevent future ant invasions.

Get Ants Extermination Service Quotes

Ants Extermination Service
Ants Extermination Service
Ants Extermination Service

Ants extermination services involve professional treatment methods aimed at eliminating ant colonies from residential, commercial, or industrial properties. These services typically include thorough inspections to identify the type of ants and locate their nests, followed by targeted application of pest control solutions. The goal is to reduce ant populations and prevent future infestations through the use of appropriate baits, barriers, and residual treatments that are safe for the property’s environment. Service providers may also offer advice on sanitation and structural modifications to minimize attractants and entry points for ants.

The primary problems addressed by ants extermination services include the disruption and damage caused by ant colonies, as well as the potential for ants to invade food storage areas, kitchens, and other living or working spaces. Certain ant species, such as fire ants or carpenter ants, can pose health risks or cause structural damage, making professional intervention especially important. These services help property owners regain control over pest issues, reduce the likelihood of recurring infestations, and maintain a cleaner, safer environment.

Properties that typically utilize ants extermination services vary widely but often include single-family homes, apartment complexes, restaurants, grocery stores, and warehouses. Residential properties with visible ant activity or signs of nests beneath or within structures are common candidates. Commercial properties, especially those involved in food handling or storage, seek professional pest control to meet health regulations and prevent economic losses. Additionally, property managers and landlords may contact local pest control providers to ensure their buildings remain free of ant problems.

Professional ants extermination services are designed to address both immediate infestations and ongoing prevention. Service providers use a combination of inspection, treatment, and follow-up measures to manage ant populations effectively. These services are suitable for a range of property types, from small homes to large commercial facilities, helping property owners and managers maintain pest-free environments. Contacting local pest control experts can provide tailored solutions to meet specific ant control needs.

The overview below groups typical Ants Extermination Service projects into broad ranges so you can see how smaller, mid-sized, and larger jobs often compare in Fulshear, TX.

In many markets, a large share of routine jobs stays in the lower and middle ranges, while only a smaller percentage of projects moves into the highest bands when the work is more complex or site conditions are harder than average.

Per-Visit Service - Ant extermination services typically range from $100 to $300 per visit, depending on the size of the property and severity of the infestation. Some providers may charge around $150 for a standard residential treatment in Fulshear, TX. Additional visits or ongoing treatments may incur extra costs.

Initial Inspection - The cost for an initial inspection usually falls between $50 and $150, with some service providers including it as part of a larger treatment package. For example, a basic inspection for a small home in nearby areas might be around $75. This fee may be waived if a treatment is scheduled afterward.

Barrier Treatments - Applying a barrier treatment to prevent ant re-entry generally costs between $200 and $500 for an average-sized property. Larger properties or those with extensive ant activity could see prices closer to $600 or more. The cost varies based on the extent of the treatment area needed.

Ongoing Maintenance Plans - Monthly or quarterly maintenance plans typically range from $50 to $150 per visit, depending on the level of service required. For example, a quarterly plan for a medium-sized home in the Fulshear area might be around $100 per visit. These plans are designed to provide ongoing ant control and prevention.

Actual totals will depend on details like access to the work area, the scope of the project, and the materials selected, so use these as general starting points rather than exact figures.

Get an Ants Extermination Service Quote

Ants Extermination services involve professionals who specialize in identifying and eliminating ant infestations in residential and commercial properties in Fulshear, TX, and nearby areas.

Ants Control providers use targeted treatment methods to remove existing ant colonies and prevent future invasions, ensuring a pest-free environment.

Ants Pest Management experts offer comprehensive pest management solutions tailored to specific ant species and infestation levels.

Ants Eradication services focus on the complete removal of ant colonies through effective application techniques suitable for different property types.

Ants Inspection professionals conduct thorough inspections to locate ant nests and determine the most effective treatment strategies.

Ants Prevention specialists advise on measures to reduce the likelihood of future ant problems, including property modifications and ongoing monitoring.

Ants Extermination Service

When evaluating ant extermination services in Fulshear, TX, experience is an important factor to consider. Local professionals often have extensive knowledge of the specific types of ants common in the area and the most effective treatment methods. By reviewing the backgrounds of nearby service providers, homeowners can gain insight into their years of service and familiarity with local pest issues. This information can help in selecting a provider with a proven track record of handling ant infestations efficiently and effectively.

Clear communication and setting written expectations are crucial when working with ant extermination specialists. Reputable local pros typically provide detailed information about their treatment approaches, what homeowners can expect during and after service, and any necessary follow-up procedures. Having these expectations documented helps ensure transparency and aligns the homeowner and service provider on the scope and nature of the work, reducing misunderstandings and promoting a smoother experience.

Reputable references and solid reputation are valuable indicators of a dependable ant extermination service. Homeowners can seek out local providers with positive reviews or ask for references to verify their reliability and quality of work. Additionally, a professional’s ability to maintain open, timely communication throughout the process can significantly influence the overall experience. Connecting with local pros who are known for their responsiveness and professionalism can lead to more confident decision-making and satisfactory pest management outcomes.

Get an Ants Extermination Service Quote

Property owners in Fulshear, TX use Ants Extermination Service services for practical projects around their homes and businesses. The sections below highlight everyday jobs and straightforward project options.

Ants Extermination Service
Ants Extermination Service

Ants extermination services are commonly sought after by property owners in Fulshear, TX, who notice ant activity around their homes or businesses. Common situations include spotting ants in kitchens, bathrooms, or along entry points, which can indicate an ongoing infestation. Property owners may seek professional assistance to address these issues effectively and prevent further ant colonies from establishing themselves within the structure.

Additionally, residents and business owners might look for ant extermination services when they experience recurring ant problems despite previous attempts at removal. Ensuring a pest-free environment is often a priority for those wanting to maintain a clean and comfortable living or working space. Local service providers can offer solutions tailored to the specific needs of properties in the Fulshear area.

Get an Ants Extermination Service Quote

How do ant extermination services work? Ant extermination services typically involve inspecting the property to identify ant colonies and entry points, then applying targeted treatments to eliminate the ants and prevent future infestations. Local service providers tailor their approach based on the type of ants and the extent of the infestation.

Are ant extermination treatments safe for pets and children? Many extermination treatments are designed to be safe when applied properly; however, it is recommended to discuss safety concerns with the local pros before treatment. They can advise on the best options to protect household members.

How long does an ant extermination treatment last? The duration of effectiveness can vary depending on the treatment method and environment. Local service providers can provide guidance on maintenance or follow-up treatments if necessary.

Can I stay at home during ant extermination treatments? In most cases, residents can remain at home during treatments, but it is best to follow the instructions provided by the service provider. Some treatments may require temporary precautions.

What should I do before the ant extermination service appointment? It is generally advised to clear the area around ant trails and entry points, and to inform the service provider of any specific concerns or areas needing attention for effective treatment.

Ants Extermination Solutions - Local service providers offer targeted treatments to eliminate ant colonies and prevent future infestations.

Inspection and Identification - Pros can identify ant species and assess entry points to develop effective extermination strategies.

Barrier and Bait Treatments - Specialists utilize baiting systems and barriers to control ant populations around residential and commercial properties.

Ongoing Monitoring and Prevention - Service providers can establish preventive measures to reduce the likelihood of ant re-infestation over time.

Ants Extermination Service

Considering Ants Extermination Service for a property in Fulshear, TX? The sections above highlight common project types, practical options, and details that often shape the scope of work.

When you are ready, use the quote form to share a few details about your project. Local pros can review the basics and respond with options that match what you have in mind.

Get an Ants Extermination Service Quote

Ants Extermination Quotes

Our Trusted Partners
Cantu Pest Control
Orkin
Hawx Pest Control